「潭美」颱風凌晨2時生成路徑曝!颱風論壇:6區防強降雨

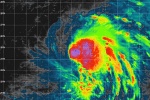
輕度颱風「潭美」生成。(圖取自氣象署網頁)
象署表示,今(22日)凌晨2時輕度颱風「潭美」生成,預計週四至週六(24日至26日)通過菲律賓呂宋島至巴士海峽,是否發生共伴效應仍待觀察。今日基隆北海岸、宜蘭地區及大臺北山區有局部短暫雨,大臺北、花東地區及恆春半島有零星短暫雨,其他地區多雲到晴,下午起東北季風增強,基隆北海岸、宜蘭及大臺北山區有局部大雨,尤其東北部山區有局部豪雨。
原位於菲律賓東方海面的熱帶性低氣壓已於22日2時發展爲輕度颱風,編號第2420號(國際命名TRAMI,中文譯名:潭美),中心氣壓998百帕,22日2時的中心位置在北緯13.3度,東經128.4度,即在馬尼拉東方810公里之海面上(鵝鑾鼻東南方1270公里之海面上),以每小時14公里速度,向西北進行。
同時,氣象署也於今凌晨3時40分發布陸上強風特報,影響時間將從今清晨至週六上午,影響區域包含基隆北海岸、新北市、桃園市、新竹市、新竹縣、苗栗縣、臺中市、彰化縣、雲林縣、嘉義縣、臺南市、恆春半島、蘭嶼綠島、澎湖縣、金門地區、馬祖地區。
「臺灣台風論壇|天氣特急」表示,「當週四、五潭美臺風穿越菲律賓、進入南海這段期間,外圍環流移入,中央山脈地形阻擋,宜、花、東、恆春、基隆北海岸、臺北東側下雨時間長,容易出現較強雨勢。「這個季節即便颱風從南方通過,沒有直接侵襲,但仍要注意天氣上的變化哦!」
另根據林老師氣象站粉絲團貼文指出,根據今晨02時中央氣象署颱風資訊及各國數值模式模擬結果綜合研判,由於預期環境的高空槽線發展不夠深,加上太平洋高壓提早東退,北方高壓也順勢接手環境駛流場的導引角色,這也使得潭美臺風向西運動分量較前增加,就連運動速度也比昨天要快6至12小時,10/25颱風7級暴風圈幾乎都已離開菲島陸地,運動路徑也略南修;也就是說,影響臺灣風雨最爲顯著的時間也跟着提早到10/23至10/25。
今日起,隨着潭美臺風的接近,基隆北海岸及東半部沿海就會開始有長浪發生的機率;今起至10/25日,基隆北海岸、東半部沿海及恆春半島、蘭嶼、綠島海面浪高可能達3至5公尺,澎湖可達5至7公尺左右。今日下半天開始,風力也會逐漸增強,臺灣各沿海空曠地區及蘭嶼、綠島、澎湖、金門、馬祖預期也將有9至11級的強陣風,海邊活動及航行作業船隻,亦應特別注意。
由於水氣較少,今日基隆北海岸、宜蘭地區及大臺北山區有局部短暫雨,大臺北、花東地區及恆春半島有零星短暫雨,其他地區多雲到晴,下午起東北季風增強,基隆北海岸、宜蘭及大臺北山區有局部大雨,尤其東北部山區有局部豪雨。氣象署表示,熱帶低壓TD24有機會生成颱風「潭美」,預計週四至週六(24日至26日)通過菲律賓呂宋島至巴士海峽,是否發生共伴效應仍待觀察。
氣象署指出,今天基隆北海岸、宜蘭地區及大臺北山區有局部短暫雨,大臺北、花東地區及恆春半島有零星短暫雨,其他地區多雲到晴,下午起東北季風增強,北部、東半部地區及恆春半島降雨機率增加,其中基隆北海岸、宜蘭及大臺北山區有局部大雨,尤其東北部山區有局部豪雨,中南部地區及澎、金、馬多雲到晴;溫度方面,各地白天高溫約28至32度,夜晚低溫約24到26度,馬祖整天氣溫約23至25度。
氣象署說明,週三(23日)東北季風增強,基隆北海岸、東北部及大臺北山區有局部大雨,尤其東北部山區有局部豪雨,北部、東半部地區及恆春半島有局部短暫雨,其他地區爲多雲到晴;週四、週五(24日、25日)受東北季風及颱風外圍環流影響,基隆北海岸、大臺北、東半部地區有局部大雨或豪雨,宜蘭及花蓮山區不排除有豪雨,中南部山區亦有零星短暫陣雨,其他地區爲多雲。
週六、下週日(26日、27日)受颱風外圍環流影響,東半部地區及恆春半島有陣雨,北部地區有局部短暫陣雨,基隆北海岸、大臺北、東半部地區及恆春半島有局部大雨,尤其週六東半部地區有局部豪雨,南部地區及中部山區亦有零星陣雨,其他地區爲多雲。













